As social media becomes an ever-increasing presence in our own lives research is delving into the social networks of animals. While studying in Cambridge I collected data on the botanic garden bird population, looking at the way birds socialise with each other and mapping their associations into a social network. Acquisition of novel information could then be tracked using a new technique called ‘Network-Based Diffusion Analysis’ (NBDA). Social networks are mapped out by recording who is seen with who and how individuals react to each other. To do this individual animals must be recognisable and distinct.
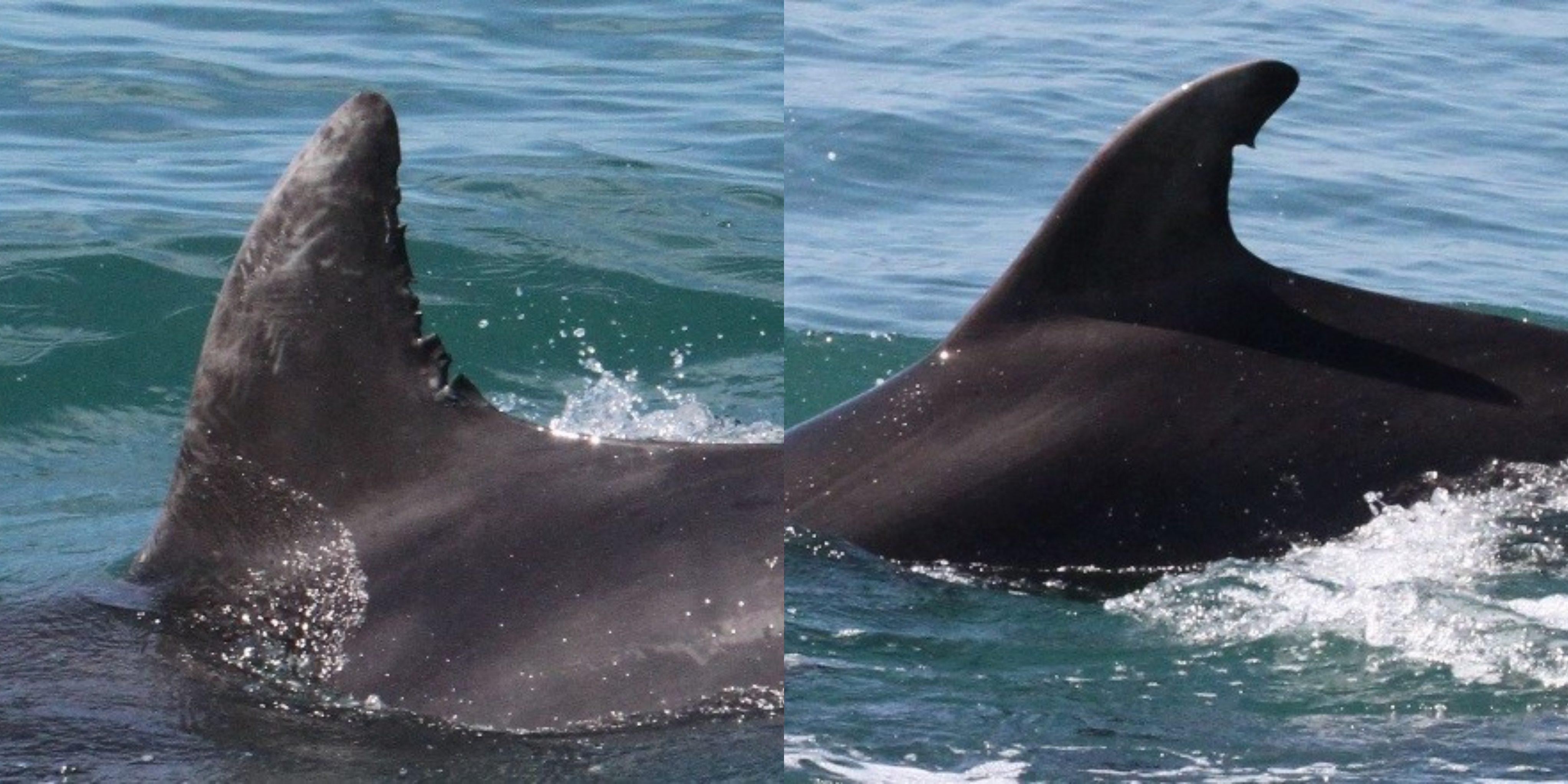
Two very different dolphins with quite distinctive marking and fin profiles that can be used for photo-ID. These can be matched with known individuals from the catalogue to identify who they are. Photo curtsey of The Seawatch Foundation.
At Seawatch photo-ID is used to recognise individuals. We do this by taking photos of dolphins we encounter within Cardigan Bay and matching distinctive marking on the dorsal fin and body against a catalogue of known dolphins. From this data we can discover a huge variety of useful information such as who`s a resident, who`s just visiting and who`s related. Following individuals as they’re sighted from year to year and observing how group structure changes is key to building a picture of individual life histories. It also adds a new level to the excitement of a dolphin encounter when you can identify a familiar fin!
Using this information, the social network of Cardigan bays bottlenose dolphins Tursiops truncatus was analysed in 2006 by Edita Magileviciute, a master’s student at Bangor University.
Social network diagrams often look like large, complex spider webs. Here Edita writes that `each vertex represents an individual and each edge represents a pair of individuals that are preferred companions. Vertex number indicates dolphin ID in the catalogue. Females are presented as up-triangles, males as down-triangles, and individuals of unknown sex as circles. ` (Magileviciute E., 2006).
Social information is particularly useful from individuals sharing the same environment and those sharing local environments are often related. It makes sense then that new behaviours are spread most quickly through individuals that are relatives or close associates i.e. those spending lots of time in close proximity within the same environment. Humpback whales Megaptera novaeangliae are particularly quick to learn new tricks from their associates whether it’s hunting for food, attracting a mate or learning new songs. Thanks to their uniquely identifiable flukes we can track who and how they are learning and maintaining new cultural traditions.
A humpback whale fluke shows distinctive colour patterns that can be used to identify individual animals. Picture curtsey of SRound.
Humpback Whales
One such cultural tradition, a novel feeding technique known as ‘lobtail feeding’, is being culturally transmitted through Humpback social networks by mimicking their friends (close associates). The behaviour involves striking their tail on the surface of the water several times to concentrate prey before creating bubble streams to trap it. Lobtail feeding was first discovered in the Gulf of Maine during the 1980’s where a single individual was observed striking the water before feeding. It quickly spread throughout the local population and has since passed through three generations of associated individuals and is seen in 40% of the population.
A Humpback whale displaying the lobtail feeding technique. By striking its tail on the surface of the water prey are herded into a concentrated mass, making feeding much more effective. Photo curtsey of CSwann.
The transmission pattern of lobtailing was shown to mirror the loose social connections observed among whales. Hence, demonstrating lobtail feeding as a pioneering example of cultural transmission in cetaceans. Socially transferring information in this way can generally be expected in long lived social species where close social contact allows for maximised learning opportunities. It may seem obvious that whales would pass information this way but lobtail feeding is one of only few examples of non-primates using this advanced learning strategy, called social transmission.
Who to learn from?
This essential means that well connected, informed individuals at the centre of social networks acquire new information more quickly than less popular, naive individuals at the edge. Being popular and well connected does seem to confer certain advantages even in the marine world as does age. Older individuals have had longer to adapt to the local environment and gain a wealth of knowledge from their experiences. Hence, age often signifies good survival credentials and opportunities for learning. It’s no wonder then that young whales with a lot to learn mimic the behavioural strategies of their elders.
Two associated individuals breaching the water in synchronisation. Photo ©Kate Cummmings – Blue Ocean Whale Watch.
Why is cultural transmission so important?
Lobtailing represents a dynamic adaptation which has allowed humpback whales to buffer the effects of changing ecological circumstances – food depletion – as its initiation is closely associated with a switch in diet from herring to sand lance. In this way social learning can have a direct impact on the evolutionary process by altering the ecological and social environment of a species. Investigating social learning can therefore help understand why animals behave the way they do and how they understand and adapt to the environment they live in.
Reintroduction programmes could benefit from such studies by identifying learning models to teach individuals survival behaviour that would help them cope in the wild. Animals informed on important life skills in this way have already been shown to have increase rates of survival.
Cetaceans are intelligent social creatures and by studying cultural attributes within this group we can learn more about the forces that drive evolution in our own species. Much research has delved into primate culture but there is still much to learn from looking outside of our own ancestral lineage and into groups that evolved in very different environments. The main issue is that behaviour is hard to quantify in cetaceans, partly because of the difficulties of studying within the marine environment. Researchers from St Andrews have how managed to overcome this issue by analysing decades of data recorded from whale watching boats which has enabled them to catch the evolution of lobtail feeding. As further long-term studies begin to mature more data will become available for research into cultural transmission. The research at Cardigan Bay already has 17 years of records to draw from and it`s great that I have been able to contribute as an intern.
At Seawatch we go out on line transects and tourist boats to collect data on the local cetaceans around West Wales. This is us on a recent survey where we saw a pod of 15 dolphins which were recognised by our monitoring officer as a group from previous years. Picture curtsey of Katrin Lohrengal.
Written by Clair Wiggs

























